Monarch
Log In New Account Sitemap
  • Home
  • Collections
  • Maps
  • Images
  • Checklists
  • About
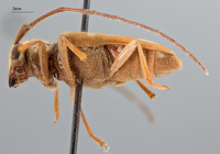
Glenea lata Gressitt  
Family: Cerambycidae
Glenea lata image
  • Resources
Glenea lata image
Glenea lata image
Glenea lata image
Glenea lata image
Click to Display
5 Total Images