Monarch
Log In New Account Sitemap
  • Home
  • Collections
  • Maps
  • Images
  • Checklists
  • About
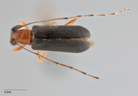
Serixia albopleura Gressitt  
Family: Cerambycidae
Serixia albopleura image
  • Resources
Serixia albopleura image
Serixia albopleura image
Serixia albopleura image
Serixia albopleura image
Click to Display
5 Total Images