Monarch
Log In New Account Sitemap
  • Home
  • Collections
  • Maps
  • Images
  • Checklists
  • About
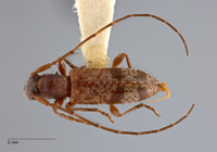
Clytosemia bicincta Gressitt  
Family: Cerambycidae
Clytosemia bicincta image
  • Resources
Clytosemia bicincta image
Click to Display
2 Total Images