Monarch
Log In New Account Sitemap
  • Home
  • Collections
  • Maps
  • Images
  • Checklists
  • About
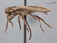
Iproca acuminata Gressitt  
Family: Cerambycidae
Iproca acuminata image
  • Resources
Iproca acuminata image
Iproca acuminata image
Iproca acuminata image
Click to Display
4 Total Images