Monarch
Log In New Account Sitemap
  • Home
  • Collections
  • Maps
  • Images
  • Checklists
  • About
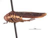
Molomea malkini Young  
Family: Cicadellidae
Molomea malkini image
  • Resources
Molomea malkini image
Molomea malkini image
Molomea malkini image
Molomea malkini image
Click to Display
5 Total Images