Monarch
Log In New Account Sitemap
  • Home
  • Collections
  • Maps
  • Images
  • Checklists
  • About
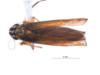
Sibovia carahua Young  
Family: Cicadellidae
Sibovia carahua image
  • Resources
Sibovia carahua image
Sibovia carahua image
Sibovia carahua image
Click to Display
4 Total Images