Monarch
Log In New Account Sitemap
  • Home
  • Collections
  • Maps
  • Images
  • Checklists
  • About
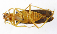
Themus pallidipes Wittmer  
Family: Cantharidae
Themus pallidipes image
  • Resources
Themus pallidipes image
Themus pallidipes image
Themus pallidipes image
Themus pallidipes image
Themus pallidipes image
Themus pallidipes image
Click to Display
7 Total Images